Contact Information

Solterra HOA

Overlook Property Management

6860 S. Yosemite Ct.
Suite 2000
Centennial, CO 80112

(303) 991-2192

overlook@overlookproperty.com

FRMD Districts 1-3

Community Resource Services of Colorado, LLC

7995 East Prentice Avenue
Suite 103E
Greenwood Village, CO  80111

(303) 381-4960

communitymgr@crsofcolorado.com

Solterra Patio Homes

Advance HOA Management, Inc.

PO Box 370390
Denver, CO 80237

(303) 482-2213 x 286
​(303) 495-5895 fax​

Website

Solterra Cadence Townhomes

MSI, LLC

6892 S. Yosemite Ct.
Suite 2-101
Centennial, CO 80112

(303) 420-4433

info@msihoa.com

Solterra Retreat

15250 W Evans Ave.
Lakewood,  CO 80228
(303) 980-5450

solterraretreat@gmail.com

Solterra Residents

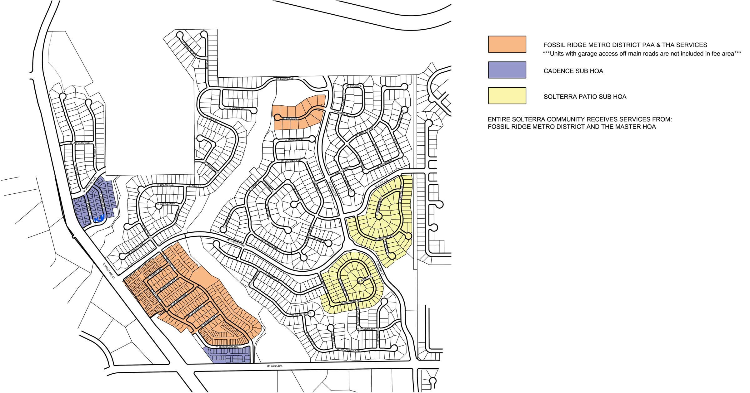
Who Do I Contact for Owner Services?

Refer to the map for your location to identify service entity and contact.
Map showing areas falling under control of FRMD, Solterra Patio HOA, and Solterra Cadence HOA

Services

  • Common area ownership and maintenance including:
    • The pool and clubhouse (The Retreat)
    • Tennis courts
    • Parks and playgrounds
    • Paths and greenbelts
    • Landscaping and trees
  • Levies property taxes and imposes fees related to the costs of providing District services to entire community

Entity

Fossil Ridge Metropolitan District

Contact

Community Resource Services of Colorado, LLC
(303) 381-4960
communitymgr@crsofcolorado.com

Solterra Retreat
15250 W Evans Ave
(303) 980-54050

Services

  • Trash and recycling services
  • Covenant enforcement
  • Design review
  • Assesses dues related to the costs of providing HOA services to entire community

Entity

Solterra Homeowners Association

Contact

Overlook Property Management
(303) 991-2192
overlook@overlookproperty.com

Services

  • Private streets and alleys snow removal
  • Gate maintenance (Private Access Area No. 1 only)
  • Imposes fees related to cost of providing additional services to residents in area

Entity

Fossil Ridge Metropolitan District

Contact

Community Resource Services of Colorado, LLC
(303) 381-4960
communitymgr@crsofcolorado.com

Services

  • In-lot services are noted in the Cardel townhome agreement.
  • Imposes fees related to cost of providing additional services to residents in area

Entity

Fossil Ridge Metropolitan District

Contact

Community Resource Services of Colorado, LLC
(303) 381-4960
communitymgr@crsofcolorado.com

Services

  • On-lot landscaping and maintenance
  • On-lot sidewalk and driveway snow removal
  • Sub-HOA design review
  • Assesses dues to sub-HOA residents related to the costs of providing sub-HOA services

Entity

Solterra Patio Sub-Homeowners Association

Contact

Advance HOA Management, Inc.
(303) 482-2213 
clientservices@advancehoa.com

Services

  • On-lot landscaping and maintenance
  • On-lot sidewalk and alleyway snow removal and maintenance
  • Assesses dues to sub-HOA residents related to the costs of providing sub-HOA services

Entity

Solterra Cadence Townhome Sub-Homeowners Association

Contact

MSI, LLC
(303) 420-4433